Praha 11: Křižovatka Chilské a Opatovské má nové rameno přechodopřejezdů i cyklopruhy

Publikováno: 20. prosince. 2021, 3 min. čtení
Autor: Martin Šnobr
Úvodní foto: Martin Šnobr
Publikováno: 20. prosince. 2021, 3 min. čtení
Autor: Martin Šnobr
Úvodní foto: Martin Šnobr

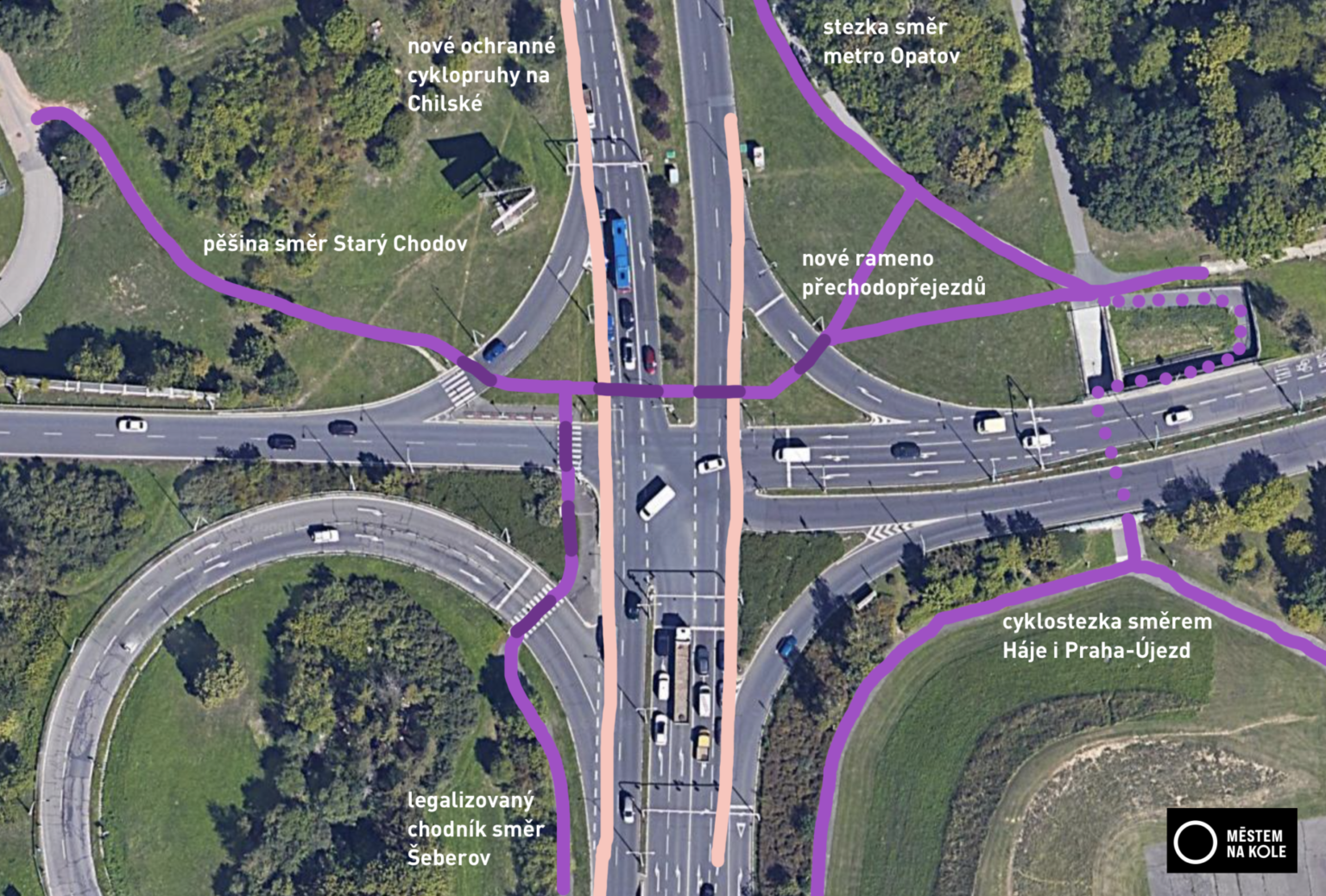
Zásadní zlepšení prostupnosti pro cyklistickou i pěší dopravu přinesla rekonstrukce křižovatky Chilská–Opatovská v Praze 11 mezi dálnicí D1 a stanicí metra Opatov. Křižovatka získala nové rameno přechodo-přejezdů, bezbariérovost a celá je nově legálně průjezdná na kole.

Dosud měla křižovatka pouze jedno severojižní rameno přechodů, nově ho má i v druhém směru. Všechny přechody nově umožňují jízdu na kole. Výhodou je, že zelená pro pěší a cyklisty je zabudovaná v cyklu křižovatky a není tak potřeba si přejezd pokaždé „vyžadovat“.

Nové rameno přejezdů přináší lepší propojení sídliště se Starým Chodovem i městskou částí Šeberov, již není třeba zajíždět do vestibulu stanice metra několik set metrů opodál.

Integrace cyklodopravy proběhla také ve vozovce. Na Chilské prochází křižovatkou ochranný cyklopruh, došlo k doplněný předsunutých stání pro cyklisty.

Křižovatka cyklotras

Oblastí prochází několik plánovaných cyklotras. Jmenovitě A219 spojující Starý Chodov s městskou částí Praha-Újezd. Dále cyklotrasa A247 spojující Prahu-Šeberov se stanicí metra Opatov. Kolem povede též cyklotrasa A22 Chodov–Opatov.

Nedořešené je napojení křižovatky na ulici Starochodovská. Vede zde pouze panelovo-blátěná pěšina, která je nově legalizovaná pro jízdu na kole. Chodník zde vybudován nebyl, zřejmě kvůli tomu, že pozemek pěšiny městská část prodala soukromé firmě.

Sesedni… nebo dbej zvýšené opatrnosti

Kuriozitou je úprava značení v podchodu Opatovské, který navazuje na cyklostezku směrem na Prahu-Újezd. Z jedné strany zmizela značka „Cyklisto, sesedni z kola“ a byla nahrazena značkou „stezka pro pěší – vjezd kol povolen“. Z druhé strany byla značka neoficiálně doplněna: „Cyklisto, sesedni z kola. Nebo dbej zvýšené opatrnosti“. V podchodu je dostatečný prostor a nízká frekvence pěších, která jízdu na kole z vyšší opatrností umožňuje.

Kritické místo vyřešeno

Kritické místo na pomezí Prahy 11 a Prahy-Šeberov bylo téměř vyřešeno. Zvýšila se pohodlnost a bezpečnost jízdy na kole i pěší chůze. Zůstává zde několik věcí k řešení: pěšina na Starochovskou i napojení na městskou část Šeberov, která už léta chystá propojit cyklostezkou místní ulici K Trníčku s ulicí Na Jelenách. S tím, že v příštím roce má na Opatově vzniknout kolárna, bude cesta z okrajových městských částí na metro zase o něco lepší.

Martin Šnobr
Student architektury a urbanismu se zájmem o udržitelnou dopravu a zlepšování míst kolem sebe. Členem redakce od roku 2018, od roku 2025 šéfredaktor.

TiK 20. 12. 2021, 14:37
12

Dneska strucne:
https://www.cspsd.cz/190-poskozeni-dopravnich-znacek-prestupek-i-trestny-cin

Kuba 20. 12. 2021, 15:24
2
3

Dobře, že tam je legální možnost, ale přechody i přejezdy na těch šikmejch rampách jsou prostě o ústa. Celý to rameno je zpravidla určený hlavně k tomu, aby auta nemusely v tý křižovatce tolik zpomalovat, jako kdyby musely zatáčet o 90° ve vlastním křížení ulic kolem ostrýho rohu chodníku. Dát do takovýho místa přechod (přejezd) je dost šílený. Plus bych rád viděl, jak to vypadá pod spodním okrajem mapy, kde ta stezka východně od Chilské, která na uříznutém snímku vede přes jižní okraj, musí úrovňově (a opět v jejím oblouku) překonat dvoupruhovou sjezdovou rampu z D1. V místě, kde už se řidiči soustředí na už bez toho komplikované křížení s Chilskou i Opatovskou. To bude taky lahůdka. Vzhledem k rychlostem asi ještě větší. Tohle je podle mě přesně typ křižovatky, který nutně potřebuje pořádnou bezpečnou infrastrukturu nebo alternativu. Ne takovouto polovičatost.

Tak 21. 12. 2021, 09:41
7
1

Tik: Nebudu zde spekulovat o tom, zda a na kolik byla nelegální úpravou snížena čitelnost či změněn význam dopravní značky. Osobně to ale považuji za vtipný způsob, jak silniční správní úřad upozornit, že pokud tento příkaz prakticky žádný cyklista nerespektuje a za desetiletí "nelegálního" průjezdu cyklistů zde není evidována žádná nehoda, ani si nejsem vědom že by si někdo stěžoval že zde cyklisté nelegálně projíždí, jedná se pravděpodobně o naprosto zbytečnou buzeraci...

Tomas 21. 12. 2021, 14:19
2
1

@Kuba
Tohle se rozhodně nedělalo kvůli chodcům ani kvůli cyklistům, ale právě kvůli sjezdu z D1 a křížení Chilské s Opatovskou a proto vznikla nová rampa do ulice Opatovská ze západu a mít možnost levého odbočení do Chilské a z původní rampy (té první) již není možné najet na Chilskou, ale je přikázáno jet do Opatovské. Výstavba přechodů a cykloopatření je pouze vedlejší efekt. Škoda, že pod novým ramenem nevzniknul podjezd.

@Tak
Tohle mi přijde trochu trapné a určitě budete první co bude nadávat, když někdo pojede neprávem v ochranném cyklopruhu. Stejnou logiku také můžu aplikovat na různá nová cyklopatření, tam kde se nestala žádná nehoda s kolem nejsou potřeba. Opravdu se mi líbí, jak každý na to kouká zaslepeně ze svě škatulky. Řidiči nerespektují cyklisty a cyklisté chodce. Nemohli bychom se k sobě chovat všichni ohleduplně a když něco vyžadujeme od druhých, tak ty samé věci také respekovat u sebe.

Tak 21. 12. 2021, 14:41
5
1

Tomas:
Zatim co na západ od nás je "schrittempo" obvyklé, u nás je obvyklé "Cyklisté sesedni". Jízdu krokem považuji za stejné bezpečnou pro chodce i cyklistu, jako vedení kola. Když to funguje ve Vyšehradském tunelu, proč by to nemělo fungovat tady? Navíc tady je jistota, že cyklista skutečně zpomalí. Tak proč je nutné cyklistu buzerovat sesedáním a nasedáním? Trapná mi připadá spíš tahle značka...

Michael 21. 12. 2021, 15:35

Ta značka "Cyklisto sesedni z kola" je tam především špatně, když z druhé strany podchodu je tam značka "Cyklistům vjezd povolen". Ten nepřehledný roh v podchodu by se dal řešit zrcadlem jako je to třeba na A21 u Sofijského náměstí.

Vratislav Filler 22. 12. 2021, 08:25

Co jsem to si projížděl (zatím východozápadním směrem), tak pozornost bude třeba věnovat cyklu signalizace. Jak jsou tam všude "sliplejny", tak to prakticky nejde udělat tak, aby šlo projet přes křižovatku bez čekání na některém z ostrůvků uprostřed. Což považuji za velmi mrzuté potvrzení faktu, že při primárně autocentrickém návrhu křižovatek bezmotorová doprava skoro vždycky ostrouhá, i když je snaha sebevětší. Zatím jsem to projížděl mezi Starým Chodovem a Šalounovou a východním směrem to najednou projedete, pokud chytnete začátek zelené. Západním směrem to najednou projet rozhodně nejde. Podél Chilské jsem to ještě nezkoušel, ale očekávám podobný výsledek. Imho by ta odbočující ramena mohla mít semafor vypnutý, což by pomohlo i plynulosti automobilové dopravy. A semafor by si člověk zapnul tlačítkem jen, když by ho potřeboval, třeba při jízdě s dětmi.

Za povšimnutí též stojí, že skoro všechny "oboustranné" značky začátku a konce stezky s povolenou jízdou kol jsou nainstalovány obráceně. Psal jsem to Duškovi, tak uvidíme, zda to bude opraveno.

A ad podchod: Roh je nepřehledný a pod ostrým klesáním. Zrcadlo by nestačilo, imho by se tam musela udělat ještě úprava omezující "řezání" rohu, tj. aspoň čáru, když ne jednu nebo dvě balisetíky. Technicky to považuji za řešitelné, koneckonců není to podchod u metra, lidí se tu pohybuje fakt málo. Ale je to marné, nejdřív by se musel změnit názor státní správy i samosprávy. Státní správě zde ovšem nevadilo zavřít na půl roku oba bezmotorové přístupy z Jižního Města do Šeberova, takže představu o jejím uvažování asi máme.

Tomas 22. 12. 2021, 09:46

@Tak
Jako vážně argumentovat zrovna Vyšehradským tunelem mi přijde naprosto mimo a zrovna zde ta značka měla smysl, to místo je opravdu malé a na mapách dokonce bylo (ještě při zákazu), jak se tam míjejí dva cyklisté a jeden sesedá. Zrovna tam by ta značka být měla. Ale to už jsme někde jinde.
Naprosto jste nepochopil mojí poznámku. Určitě budete první co bude řvát, že přece dojít si pár metrů pěšky řidiče aut nezabije, ale to samé neplatí pro cyklisty, nedej bože aby někdo narušil jejich ego a museli 20m kolo vést.

@Vratislav Filler
Buďte rád, že tam ty opatření vznikla a stěžovat si na čekání na ostrůvku mi přijde trochu už přehnaný. Ano ta křižovatka je autocentrická protože to je sjezd z D1, kde jinde by to proboha mělo být autocentrické než zrovna zde? Ten provoz jak chodců, tak cyklistů je tam tak marginální, že ta úprava je naprosto dostatečná.

Návrh na vypnutý semafor je cesta do pekel, protože tam 1000x pojedete a semafor bude vypnutý a začnete ho ignorovat a paměť je hrozná potvora.

Kuba 22. 12. 2021, 11:51

Tomas:
OK, to asi trochu pomůže, pokud je nájezd do Chilské směrem na metro Opatov nově přesunut na tu novou rampu, která na mapových obrázcích není (a na seznamovských mapách je naznačena tak jemně, že jsem si jí napoprvé nevšiml, až když jsem věděl, po čem koukat, za to se omlouvám). To oproti mému původnímu předpokladu trochu snižuje riziko na tom přechodopřejezdu na starý rampě z D1, nyní jen do Opatovské. Akorát pak tedy nechápu, proč tam je plná čára a ne aspoň balisety, lépe svodidla z obou stran cyklopruhu v Chilské takto bych si vsadil na to, že hodně řidičů tam bude jezdit podle zvyku (a starších navigací) a bude se z této "staré" rampy do Chilské tlačit. Přes novej cyklopruh. Rovněž vnitřní pruh zatáčky z D1 do opatovské zrušenej jen dopravním stínem a ne výraznou bariérou bych k čekání na mezeru v autech používat nedoporučoval, takže reálně se k tomu člověk bude muset furt chovat jako k přechodu/přejezdu přes dva pruhy.

Furt to ovšem znamená, že jsou ty přechodopřejezdy v hodně nebezpečných místech. Uprostřed těchto šikmých ramp je to prostě nahouby a taková křižovatka je při úrovňovém řešení pohybu kol a pěších velmi nebezpečná. Chápu, že se to dělalo především pro auta, ale tak už se to mělo pro auta udělat pořádně a vyřešit křížení s bezmotorovou dopravou mimoúrovňově. Protože tohle pro auta IMO dobrý nebude a pro ostatní to furt zůstává velmi nebezpečný a nepříjemný.

Prototyp křižovatky, přes kterej spoustu svých známých, kteří by vlastně rádi kolo pro dopravu po Praze používali, jednoduše nedostanu. Pokud by měli mít tohle na cestě (s výjimkou toho ramene, kde je podchod), na kole nepojedou a tečka. A já kdybych tudy měl jet, udělám maximum, abych se tomu vyhnul (klidně zajížďku řádově jednotek km) a pokud bych tudy musel, budu z toho nervózní dlouho dopředu i ještě dlouho potom. Netřeba říkat, že pokud by šlo o cestu, kdy jsem v rozhodování na hraně mezi tím, jestli jet na kole nebo ne, bude to jednoznačné ne.

Michael 22. 12. 2021, 12:57

@Vratislav: Duškovi jste neměl psát, takhle to máme krásně zlegalizovaný ;)

Tomas 22. 12. 2021, 13:21

@Kuba
Já jsem také dlouho hledal, co se tam vlastně změnilo pro auta. Takže naprosto chápu, že to někdo z těhle obrázků a z mapy, kde jediný kdo to snad měl vyznačené byl Waze.

Já si tedy nejsem jistý ale nejsou tam náhodou všude semafory? Kromě teda té první rampy z D1 (nově pouze do Opatovské), kde stejně ten chodník vůbec nikam nevede. Resp. lze pouze podejít Chilskou podél D1, pro kola je to stejně k ničemu protože tam jsou schody. Chápu, že tam není přechod a ani by snad nikoho soudného nenapadlo tam tu silnici přebíhat (jak je u té fotky uvedené).

Kuba 22. 12. 2021, 13:51

Tomas: Přijde mi to celý divný. Pokud tam všude jinde jsou semafory, moc nechápu zmiňování této cesty v článku. Pokud tam na některém z té spousty dalších ramen taky chybí semafor, je možné, že by to byla alternativa k obkružování 3/4 složité křižovatky přes X přechodů (byť většiny se semaforem), pokud člověk přijde/přijede podél D1 a bude chtít pokračovat do ulice Na Jelenách nebo na Hrnčíře.

Já bych tam asi zkusil přejet v tom případě, že bych se o křižovatku dřív spolehl na ten cyklopruh (zaléží, jak tam je udělanej), přijel Chilskou tím novým cyklopruhem a zjistil to jeho chybějící fyzické oddělení v místě, kde se dřív napojovaly auta z té staré rampy do Chilské směrem k metru. Případně (zase záleží, jak bude udělanej ten kruhák Chilská / Na Jelenách / K Hrnčířům / rampa z D1) kdyby mě to tam navedlo přijít východním chodníkem Chilský přes D1 a věděl jsem, že chci pokračovat podél Opatovské na Háje. Každopádně si myslím, že tento kvadrant bude dost brutální i pro auta, natož pro kolo/pěšího. A pokud to na něj bude tou Chilskou navádět, tak nic moc. Zejména když si představím, že bych to předem podrobně nezkoumal kvůli této diskusi, ale prostě tam důvěřivě přijel/přišel.

josuk 23. 12. 2021, 11:06

Není to tak složité jak píšete (Tomas, Kuba). Je to lepší než to bylo. Ten první sjezd z D1 se normálně dal přejít, byla to nejkratší cesta k Šeberovu. Ten podchod je hlučné peklo, takže teď se dá směrem od Šalounovy krásně legálně uhlopříčně pěšky i na kole. Asi se nově trochu snížila kapacita průjezdnosti, přišlo mi že dobrou polovinu času je prostředek křižovatky prázdný. Na těch odbočeních doprava by bylo asi leckde dobré semafor zrušit, nebo nahradit zelenou šipkou s povinností dát přednost. Přecejen, když se kvůli nájezdu zprava nemusí úplně zastavit hlavní proud sníží to obecnou nervozitu i emise.
Trochu legrační je shluk nových značek na chodníku u vstupu/vjezdu do podchodu, ale jestli tak musí být.. ničemu to nepomůže ale jsme na zbytečnosti zvyklí..
Za mě křižovatka dobrá. Jen by možná při podobných úpravách měli být navigace informovány s velkým předstihem.. pořád hodně aut se tlačí z prvního sjezdu z D1 rovně a jsou z toho horší kolizní situace než dřív… případně pamatovat na to, že ne každý aktualizuje navigaci a změnu místní úpravy dostatečně zdůraznit.. na příjezdu po D1 je to jen tak diskrétně naznačené.

Jenda 23. 12. 2021, 15:53
1
4

Michael: „Ta značka "Cyklisto sesedni z kola" je tam především špatně, když z druhé strany podchodu je tam značka "Cyklistům vjezd povolen".“

Není, povolen je vjezd směrem do kopce, kde je kromě gravitace cyklista zpomalen podchodem a ostrou zatáčkou; zakázán z kopce s rovným vjezdem, kdy tam snadno někdo poletí. (pozn. soudím podle fotek a mapy, nebyl jsem tam)

Pavel Mašek 23. 12. 2021, 22:36
1
2

@Tomas
- ze je to u sjezdu D1 neznamená, že to má být autocentrické, křižovatka je jedinou spojkou (nejkratší i při započtení i delších cest z Újezdu) pro pěší a cyklisty a hlavně nejbezpečnější (jiná cesta vede kolem Billy a do parku, což je stoupání a křižovatka s velikými intenzitami bez cyklopřejezdů) z panelových domů, které jsou od sjezdu cca 150-200 metrů. Je to území rezidenční zóny nové i staré zástavby, že je z toho dopravní uzel s přilehlým Opatovem, je zcela smutný vývoj zejména za Prahou se satelity, zábavou, nákupy...
- čekání na ostrůvku prodlužuje i jízdu samotným autům, pač se semafory musí přepnout dvakrát a v součtu to sebere více času oběma stranám. Je tam i faktor bezpečnosti, kdy je ostrůvek malý a stačí dva cyklisté a dva chodci a je plno, o příjemnosti čekat na ostrůvku není třeba hovořit

@Tomas, Filler,...
- já tam za poslední cca půlrok prošel opravdu mnoho mnohokrát, někdy i pětkrát týdně a provoz v podchodu mi přijde vyšší, než by se zdálo na první pohled. Vždy jsem někoho potkal. Neříkám, že to budou tisíce, ale stovky to jsou. Možná to narostlo kvůli lidem z Újezda, kteří mají zavřeno do Šeberova, nevím, nedělal jsem ani anketu tam... Bohužel ten podchod není bezpečný - na jižní straně je to spíše záchodová místa, pod silnicí jsou stěny v havarijním stavu, že by nad ním neměla jezdit žádná auta! Na podzim nafoukané listí pod schody tam je ušlapané dodnes...

@Kuba
- jojo, jsou tam teď pěkné zmatky, autoválka na napojení na Chilskou z prvního sjezdu snad ustane, jinak to budou horší nehody než dřív

@Josuk
- souhlasím částečně, nesouhlasím s tím "normálně přejít", není to bezpečné místo z mostu přes sjezd z d1, kde frčí auta i stovkou a brzdí na poslední chvíli, bez přechodu a vyústí to do místní skládky odhozeného nakradeného šatstvas kabelkami, televizí a dalšího odpadu.

Kuba 26. 12. 2021, 11:14

josuk:
Jo, to je přesně to, čeho jsem se bál nejvíc, když jsem to viděl. Že řidiči budou dál jezdit po paměti prvním sjezdem z D1 a cpát se rovně do Chilský přes ten novej cyklopruh. A nově s nimi řidiči z Chilský nebudou počítat.

Líbil se Vám článek? Chcete v Česku lepší podmínky pro cyklodopravu?
Podpořte nás, stačí i 100 korun. 💙🚲

Vyberte prosím částku, poté budete přesmerováni na darujme.cz

Mohlo by vás zajímat